Harasupia {genus} - Arthropoda; Insecta; Hemiptera; Cicadellidae; Coelidiinae; Teruliini;

For the latest taxonomy data, visit boldsystems.org.

BOLD Stats

Specimen Records: 2 Public Records: 1
Specimens with Sequences: 2 Public Species: 0
Specimens with Barcodes: 2 Public BINs: 1
Species: 1          
Species With Barcodes: 1          
           

Contributors (Specimens & Sequencing)

Specimen Depositories: Sequencing Labs:
Depositories
Sequencing Labs

Imagery

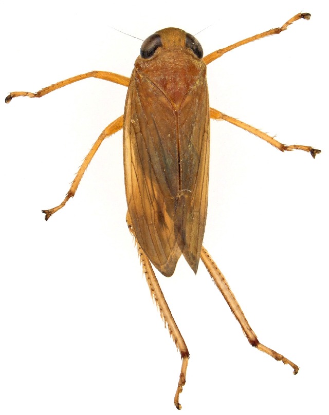
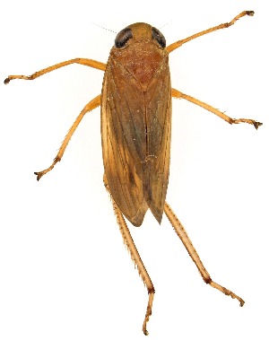
images representing subtaxa of Harasupia
 (Harasupia snowi - UAIC1151575)  @11 [ ] Copyright  Salvador Vitanza Unspecified
  Sample ID:
UAIC1151575
  License:
Copyright 
  License Holder:
Salvador Vitanza, Unspecified

Collection Sites




Collected from 1 countries.
Top 20:
Show All Countries Expand List
United States1