Habroscelimorpha gabbii {species} - Arthropoda; Insecta; Coleoptera; Carabidae; Cicindelinae; Cicindelini; Habroscelimorpha;

For the latest taxonomy data, visit boldsystems.org.

BOLD Stats

Specimen Records: 4 Public Records: 4
Specimens with Sequences: 3 Public Species: 1
Specimens with Barcodes: 0 Public BINs: 0
Species: 1          
Species With Barcodes: 0          
           

Contributors (Specimens & Sequencing)

Specimen Depositories: Sequencing Labs:
Depositories
Sequencing Labs

Imagery

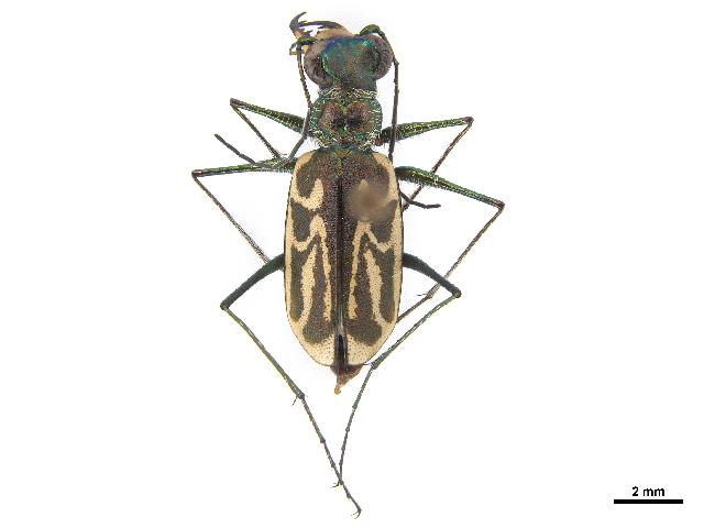
images representing specimens of Habroscelimorpha gabbii
 ( - NEONTcarabid4163)  @11 [ ] Copyright (2011) Blevins, KK and Travers, PD National Ecological Observatory Network (NEON) http://www.neoninc.org/content/copyright  ( - NEONTcarabid4162)  @11 [ ] Copyright (2011) Blevins, KK and Travers, PD National Ecological Observatory Network (NEON) http://www.neoninc.org/content/copyright  ( - CCDB-30441-F07)  @11 [ ] CreativeCommons - Attribution (2018) Smithsonian Institution Smithsonian Institution
 ( - CCDB-30441-F07)  @11 [ ] CreativeCommons - Attribution (2018) Smithsonian Institution Smithsonian Institution
  Sample ID:
CCDB-30441-F07
  License:
CreativeCommons - Attribution (2018)
  License Holder:
Smithsonian Institution

Collection Sites



Collected from 2 countries.
Top 20:
Show All Countries Expand List
United States2Mexico1