Climaciella brunnea {species} - Arthropoda; Insecta; Neuroptera; Mantispidae; Mantispinae; Climaciella;

For the latest taxonomy data, visit boldsystems.org.

BOLD Stats

Specimen Records: 11 Public Records: 9
Specimens with Sequences: 10 Public Species: 1
Specimens with Barcodes: 10 Public BINs: 2
Species: 1          
Species With Barcodes: 1          
           

Contributors (Specimens & Sequencing)

Specimen Depositories: Sequencing Labs:
Depositories
Sequencing Labs

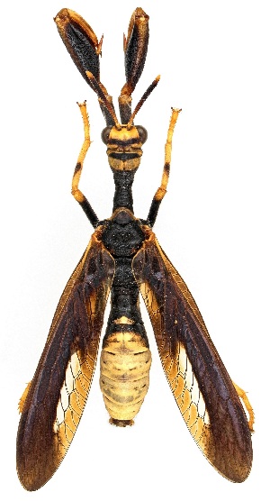
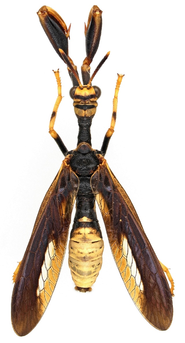
Imagery

images representing specimens of Climaciella brunnea
 ( - BIOUG02795-D03)  @14 [ ] CreativeCommons - Attribution (2012) CBG Photography Group Centre for Biodiversity Genomics  ( - BIOUG02795-C11)  @14 [ ] CreativeCommons - Attribution (2012) CBG Photography Group Centre for Biodiversity Genomics  ( - BIOUG02795-C12)  @13 [ ] CreativeCommons - Attribution (2012) CBG Photography Group Centre for Biodiversity Genomics
 ( - 10-SKNBC-211)  @13 [ ] CreativeCommons - Attribution Non-Commercial Share-Alike (2012) Beaty Biodiversity Centre Beaty Biodiversity Centre  ( - BIOUG02795-D02)  @13 [ ] CreativeCommons - Attribution (2012) CBG Photography Group Centre for Biodiversity Genomics  ( - BIOUG02804-F05)  @13 [ ] CreativeCommons - Attribution (2013) CBG Photography Group Centre for Biodiversity Genomics
 ( - BIOUG02795-D01)  @12 [ ] CreativeCommons - Attribution (2012) CBG Photography Group Centre for Biodiversity Genomics  ( - CCDB-32124-H05)  @11 [ ] CreativeCommons - Attribution (2018) Smithsonian Institution Smithsonian Institution  ( - CCDB-32124-H05)  @11 [ ] CreativeCommons - Attribution (2018) Smithsonian Institution Smithsonian Institution
  Sample ID:
CCDB-32124-H05
  License:
CreativeCommons - Attribution (2018)
  License Holder:
Smithsonian Institution

Collection Sites




Collected from 2 countries.
Top 20:
Show All Countries Expand List
United States5Canada5