Mecidea major {species} - Arthropoda; Insecta; Hemiptera; Pentatomidae; Pentatominae; Mecideini; Mecidea;

For the latest taxonomy data, visit boldsystems.org.

BOLD Stats

Specimen Records: 3 Public Records: 2
Specimens with Sequences: 1 Public Species: 1
Specimens with Barcodes: 1 Public BINs: 0
Species: 1          
Species With Barcodes: 1          
           

Contributors (Specimens & Sequencing)

Specimen Depositories: Sequencing Labs:
Depositories
Sequencing Labs

Imagery

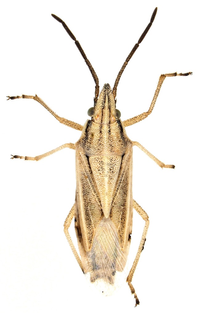
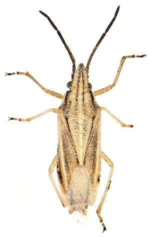
images representing specimens of Mecidea major
 ( - INBIOCRI001695665)  @11 [ ] Copyright (2012) Jim Lewis Instituto Nacional de Biodiversidad  ( - INBIOCRI001736966)  @11 [ ] Copyright (2012) Jim Lewis Instituto Nacional de Biodiversidad  ( - UAIC1151909)  @11 [ ] Copyright  Salvador Vitanza Unspecified
  Sample ID:
UAIC1151909
  License:
Copyright 
  License Holder:
Salvador Vitanza, Unspecified

Collection Sites




Collected from 2 countries.
Top 20:
Show All Countries Expand List
Costa Rica2United States1