Clistopyga eldae {species} - Arthropoda; Insecta; Hymenoptera; Ichneumonidae; Pimplinae; Ephialtini; Clistopyga;

For the latest taxonomy data, visit boldsystems.org.

BOLD Stats

Specimen Records: 131 Public Records: 16
Specimens with Sequences: 131 Public Species: 1
Specimens with Barcodes: 130 Public BINs: 1
Species: 1          
Species With Barcodes: 1          
           

Contributors (Specimens & Sequencing)

Specimen Depositories: Sequencing Labs:
Depositories
Sequencing Labs

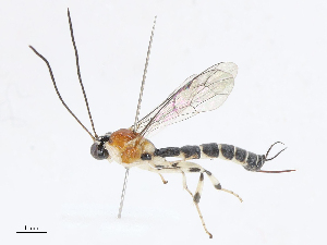
Imagery

images representing specimens of Clistopyga eldae
 ( - INB0004034491)  @13 [ ] Copyright (2010) Ronald Zuniga Unspecified  ( - INB0004254171)  @13 [ ] Copyright (2011) R. Zuniga INBio  ( - INB0003485073)  @12 [ ] Copyright (2010) Ronald Zuniga Unspecified
 ( - INB0003136463)  @12 [ ] Copyright (2010) Ronald Zuniga Unspecified  ( - INB0004284830)  @12 [ ] Copyright (2011) R. Zuniga INBio  ( - INB0004284844)  @12 [ ] Copyright (2011) R. Zuniga INBio
 ( - INB0004288900)  @12 [ ] Copyright (2011) R. Zuniga INBio  ( - CBG-A34585-D10)  @11 [ ] CreativeCommons - Attribution Share - Alike (2024) Centre for Biodiversity Genomics Centre for Biodiversity Genomics  ( - CBG-A68468-C01)  @11 [ ] CreativeCommons - Attribution Share - Alike (2025) Centre for Biodiversity Genomics Centre for Biodiversity Genomics
 ( - CBG-A68465-A10)  @11 [ ] CreativeCommons - Attribution Share - Alike (2025) Centre for Biodiversity Genomics Centre for Biodiversity Genomics  ( - INB0004104674)  @11 [ ] Copyright (2010) Ronald Zuniga Unspecified  ( - CBG-A69247-G02)  @11 [ ] CreativeCommons - Attribution Share - Alike (2025) Centre for Biodiversity Genomics Centre for Biodiversity Genomics
 ( - CBG-A69359-E10)  @11 [ ] CreativeCommons - Attribution Share - Alike (2025) Centre for Biodiversity Genomics Centre for Biodiversity Genomics  ( - CBG-A67845-F02)  @11 [ ] CreativeCommons - Attribution Share - Alike (2025) CBG Photography Group Centre for Biodiversity Genomics  ( - CBG-A34557-B03)  @11 [ ] CreativeCommons - Attribution Share - Alike (2024) Centre for Biodiversity Genomics Centre for Biodiversity Genomics
 ( - CBG-A09898-A10)  @11 [ ] CreativeCommons - Attribution Share - Alike (2023) Centre for Biodiversity Genomics Centre for Biodiversity Genomics  ( - CBG-A61085-A05)  @11 [ ] CreativeCommons - Attribution Share - Alike (2024) Centre for Biodiversity Genomics Centre for Biodiversity Genomics  ( - CBG-B12447-C03)  @11 [ ] CreativeCommons - Attribution Share - Alike (2025) CBG Photography Group Centre for Biodiversity Genomics
 ( - CBG-B13687-A03)  @11 [ ] CreativeCommons - Attribution Share - Alike (2025) Centre for Biodiversity Genomics Centre for Biodiversity Genomics  ( - CBG-A67895-C12)  @11 [ ] CreativeCommons - Attribution Share - Alike (2025) CBG Photography Group Centre for Biodiversity Genomics  ( - CBG-A67895-F07)  @11 [ ] CreativeCommons - Attribution Share - Alike (2025) CBG Photography Group Centre for Biodiversity Genomics
  Sample ID:
CBG-A67895-F07
  License:
CreativeCommons - Attribution Share - Alike (2025)
  License Holder:
CBG Photography Group, Centre for Biodiversity Genomics

Collection Sites




Collected from 1 countries.
Top 20:
Show All Countries Expand List
Costa Rica131