Mecistoscelis scirtetoides {species} - Arthropoda; Insecta; Hemiptera; Miridae; Mirinae; Mecistoscelini; Mecistoscelis;

For the latest taxonomy data, visit boldsystems.org.

BOLD Stats

Specimen Records: 4 Public Records: 3
Specimens with Sequences: 3 Public Species: 1
Specimens with Barcodes: 3 Public BINs: 1
Species: 1          
Species With Barcodes: 1          
           

Contributors (Specimens & Sequencing)

Specimen Depositories: Sequencing Labs:
Depositories
Sequencing Labs

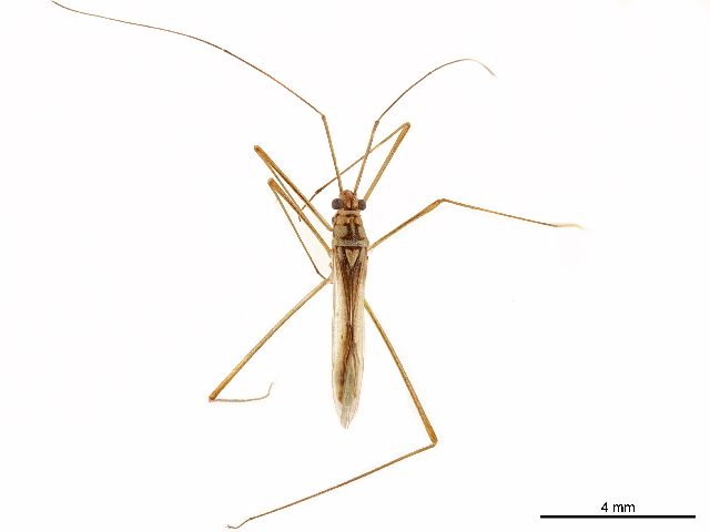
Imagery

images representing specimens of Mecistoscelis scirtetoides
 ( - CNC#PBI00394933)  @13 [ ] CreativeCommons - Attribution (2011) CNC/CBG Photography Group Centre for Biodiversity Genomics  ( - CNC#PBI00394934)  @11 [ ] CreativeCommons - Attribution (2011) CNC/CBG Photography Group Centre for Biodiversity Genomics  ( - CCDB-34776-G07)  @11 [ ] CreativeCommons - Attribution (2019) Smithsonian Institution Smithsonian Institution
 ( - CCDB-34776-G06)  @11 [ ] CreativeCommons - Attribution (2019) Smithsonian Institution Smithsonian Institution
  Sample ID:
CCDB-34776-G06
  License:
CreativeCommons - Attribution (2019)
  License Holder:
Smithsonian Institution

Collection Sites



Collected from 2 countries.
Top 20:
Show All Countries Expand List
China2Taiwan2