Catorhintha {genus} - Arthropoda; Insecta; Hemiptera; Coreidae; Coreinae; Hypselonotini;

For the latest taxonomy data, visit boldsystems.org.

BOLD Stats

Specimen Records: 23 Public Records: 13
Specimens with Sequences: 18 Public Species: 2
Specimens with Barcodes: 11 Public BINs: 2
Species: 4          
Species With Barcodes: 2          
           

Contributors (Specimens & Sequencing)

Specimen Depositories: Sequencing Labs:
Depositories
Sequencing Labs

Imagery

images representing subtaxa of Catorhintha
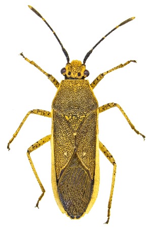
 (Catorhintha apicalis - CNC#HEM301994)  @11 [ ] CreativeCommons - Attribution (2011) CNC/CBG Photography Group Centre for Biodiversity Genomics  (Catorhintha guttula - BIOUG02305-H10)  @14 [ ] CreativeCommons - Attribution (2012) CBG Photography Group Centre for Biodiversity Genomics  (Catorhintha mendica - CNC#HEM300130)  @13 [ ] CreativeCommons - Attribution (2011) CNC/CBG Photography Group Centre for Biodiversity Genomics
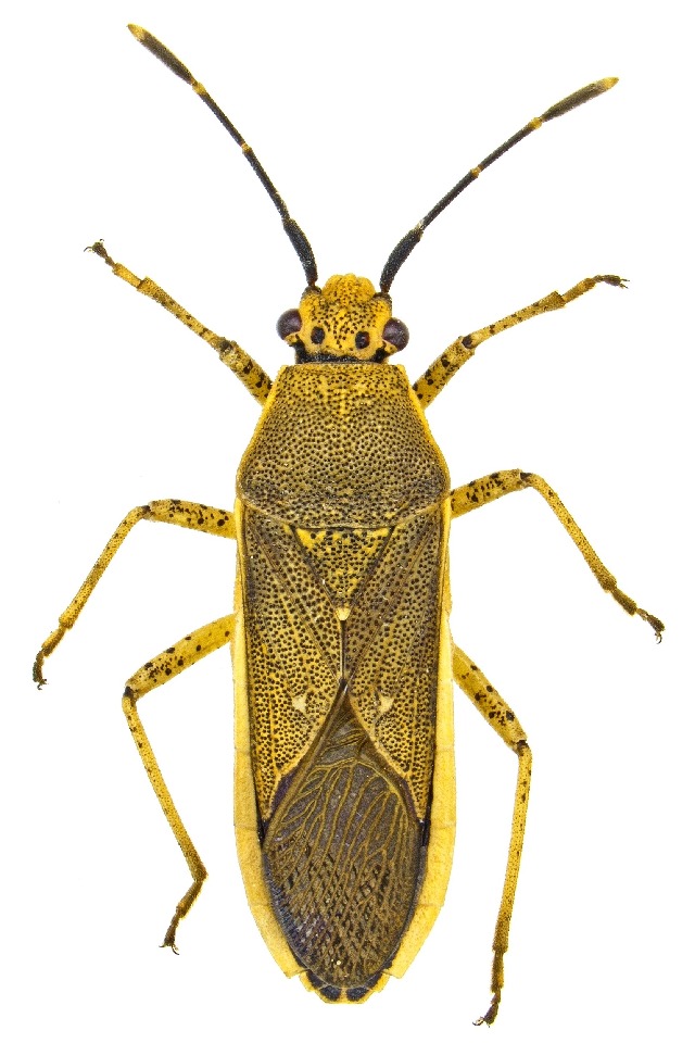
 (Catorhintha selector - UAIC1159065)  @11 [ ] Copyright  Salvador Vitanza Unspecified
  Sample ID:
UAIC1159065
  License:
Copyright 
  License Holder:
Salvador Vitanza, Unspecified

Collection Sites




Collected from 3 countries.
Top 20:
Show All Countries Expand List
United States11Mexico2Nicaragua1