Urocerus fantoma {species} - Arthropoda; Insecta; Hymenoptera; Siricidae; Siricinae; Urocerus;

For the latest taxonomy data, visit boldsystems.org.

BOLD Stats

Specimen Records: 3 Public Records: 0
Specimens with Sequences: 2 Public Species: 0
Specimens with Barcodes: 1 Public BINs: 0
Species: 1          
Species With Barcodes: 1          
           

Contributors (Specimens & Sequencing)

Specimen Depositories: Sequencing Labs:
Depositories
Sequencing Labs

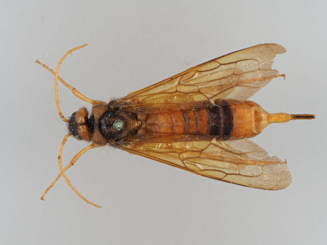
Imagery

images representing specimens of Urocerus fantoma
 ( - ZMUO.023642)  @11 [ ] CreativeCommons - Attribution Non-Commercial (2014) Marko Mutanen University of Oulu  ( - NK1539)  @11 [ ] Copyright (2027) Natalia Kirichenko, Anton Efremenko Sukachev Institute of Forest SB RAS  ( - MZH_GP.106391)  @11 [ ] CreativeCommons - Attribution Non-Commercial (2018) Marko Mutanen University of Oulu
  Sample ID:
MZH_GP.106391
  License:
CreativeCommons - Attribution Non-Commercial (2018)
  License Holder:
Marko Mutanen, University of Oulu

Collection Sites




Collected from 1 countries.
Top 20:
Show All Countries Expand List
Russia1