Megalodontes thor {species} - Arthropoda; Insecta; Hymenoptera; Megalodontesidae; Megalodontesinae; Megalodontes;

For the latest taxonomy data, visit boldsystems.org.

BOLD Stats

Specimen Records: 20 Public Records: 15
Specimens with Sequences: 19 Public Species: 1
Specimens with Barcodes: 18 Public BINs: 1
Species: 1          
Species With Barcodes: 1          
           

Contributors (Specimens & Sequencing)

Specimen Depositories: Sequencing Labs:
Depositories
Sequencing Labs

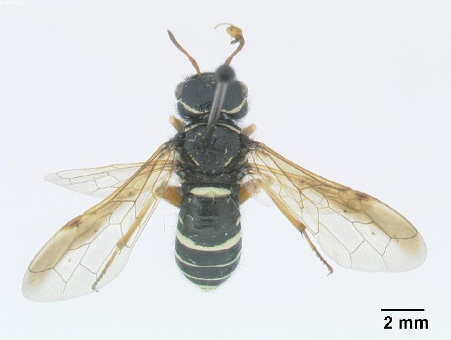
Imagery

images representing specimens of Megalodontes thor
 ( - BC ZSM HYM 15060)  @14 [ ] CreativeCommons - Attribution Non-Commercial Share-Alike (2015) SNSB, Zoologische Staatssammlung Muenchen SNSB, Zoologische Staatssammlung Muenchen  ( - BC ZSM HYM 15059)  @14 [ ] CreativeCommons - Attribution Non-Commercial Share-Alike (2015) SNSB, Zoologische Staatssammlung Muenchen SNSB, Zoologische Staatssammlung Muenchen  ( - BC ZSM HYM 13574)  @13 [ ] CreativeCommons - Attribution Non-Commercial Share-Alike (2015) SNSB, Zoologische Staatssammlung Muenchen SNSB, Zoologische Staatssammlung Muenchen
 ( - BC ZSM HYM 13573)  @13 [ ] CreativeCommons - Attribution Non-Commercial Share-Alike (2015) SNSB, Zoologische Staatssammlung Muenchen SNSB, Zoologische Staatssammlung Muenchen  ( - DEI-GISHym4941)  @13 [ ] Copyright (2010) Senckenberg Deutsches Entomologisches Institut Senckenberg Deutsches Entomologisches Institut  ( - DEI-GISHym4941)  @13 [ ] Copyright (2010) Senckenberg Deutsches Entomologisches Institut Senckenberg Deutsches Entomologisches Institut
 ( - BC ZSM HYM 03192)  @13 [ ] CreativeCommons - Attribution Non-Commercial Share-Alike (2010) Stefan Schmidt SNSB, Zoologische Staatssammlung Muenchen  ( - BC ZSM HYM 03201)  @13 [ ] CreativeCommons - Attribution Non-Commercial Share-Alike (2010) Stefan Schmidt SNSB, Zoologische Staatssammlung Muenchen  ( - BC ZSM HYM 00164)  @13 [ ] CreativeCommons - Attribution Non-Commercial Share-Alike (2010) Stefan Schmidt SNSB, Zoologische Staatssammlung Muenchen
 ( - BC ZSM HYM 15012)  @13 [ ] CreativeCommons - Attribution Non-Commercial Share-Alike (2015) SNSB, Zoologische Staatssammlung Muenchen SNSB, Zoologische Staatssammlung Muenchen  ( - BC ZSM HYM 03238)  @12 [ ] CreativeCommons - Attribution Non-Commercial Share-Alike (2010) Stefan Schmidt SNSB, Zoologische Staatssammlung Muenchen  ( - BC ZSM HYM 03193)  @11 [ ] CreativeCommons - Attribution Non-Commercial Share-Alike (2010) Stefan Schmidt SNSB, Zoologische Staatssammlung Muenchen
 ( - DEI-GISHym4940)  @11 [ ] Copyright (2010) Senckenberg Deutsches Entomologisches Institut Senckenberg Deutsches Entomologisches Institut  ( - DEI-GISHym4940)  @11 [ ] Copyright (2010) Senckenberg Deutsches Entomologisches Institut Senckenberg Deutsches Entomologisches Institut
  Sample ID:
DEI-GISHym4940
  License:
Copyright (2010)
  License Holder:
Senckenberg Deutsches Entomologisches Institut

Collection Sites




Collected from 2 countries.
Top 20:
Show All Countries Expand List
Germany10Italy2