Phytocoris sewardi {species} - Arthropoda; Insecta; Hemiptera; Miridae; Mirinae; Mirini; Phytocoris;

For the latest taxonomy data, visit boldsystems.org.

BOLD Stats

Specimen Records: 22 Public Records: 12
Specimens with Sequences: 22 Public Species: 1
Specimens with Barcodes: 22 Public BINs: 2
Species: 1          
Species With Barcodes: 1          
           

Contributors (Specimens & Sequencing)

Specimen Depositories: Sequencing Labs:
Depositories
Sequencing Labs

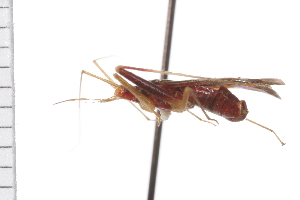
Imagery

images representing specimens of Phytocoris sewardi
 ( - CNC-HEM-1031)  @14 [ ] CreativeCommons - Attribution (2009) CBG Photography Group Centre for Biodiversity Genomics  ( - CNC-HEM-1032)  @13 [ ] CreativeCommons - Attribution (2009) CBG Photography Group Centre for Biodiversity Genomics  ( - CNC-HEM-1016)  @13 [ ] CreativeCommons - Attribution (2009) CBG Photography Group Centre for Biodiversity Genomics
 ( - CNC-HEM-1040)  @13 [ ] CreativeCommons - Attribution (2009) CBG Photography Group Centre for Biodiversity Genomics  ( - CNC-HEM-1036)  @12 [ ] CreativeCommons - Attribution (2009) CBG Photography Group Centre for Biodiversity Genomics  ( - CNC-HEM-1017)  @12 [ ] CreativeCommons - Attribution (2009) CBG Photography Group Centre for Biodiversity Genomics
 ( - CBG-A18891-A07)  @11 [ ] CreativeCommons - Attribution Share - Alike (2023) Centre for Biodiversity Genomics Centre for Biodiversity Genomics  ( - CBG-A19023-A09)  @11 [ ] CreativeCommons - Attribution Share - Alike (2023) Centre for Biodiversity Genomics Centre for Biodiversity Genomics  ( - CBG-A17313-G07)  @11 [ ] CreativeCommons - Attribution Share - Alike (2023) Centre for Biodiversity Genomics Centre for Biodiversity Genomics
 ( - CBG-A18685-G01)  @11 [ ] CreativeCommons - Attribution Share - Alike (2023) Centre for Biodiversity Genomics Centre for Biodiversity Genomics  ( - CBG-A44456-B03)  @11 [ ] CreativeCommons - Attribution Share - Alike (2024) Centre for Biodiversity Genomics Centre for Biodiversity Genomics  ( - CBG-A44462-A06)  @11 [ ] CreativeCommons - Attribution Share - Alike (2024) Centre for Biodiversity Genomics Centre for Biodiversity Genomics
 ( - CBG-A44004-G10)  @11 [ ] CreativeCommons - Attribution Share - Alike (2024) Centre for Biodiversity Genomics Centre for Biodiversity Genomics  ( - CBG-A17311-H03)  @11 [ ] CreativeCommons - Attribution Share - Alike (2023) Centre for Biodiversity Genomics Centre for Biodiversity Genomics  ( - BIOUG51868-E03)  @11 [ ] CreativeCommons - Attribution (2020) Centre for Biodiversity Genomics Centre for Biodiversity Genomics
 ( - CBG-A21643-F10)  @11 [ ] CreativeCommons - Attribution Share - Alike (2023) CBG Photography Group Centre for Biodiversity Genomics  ( - BIOUG51255-H10)  @11 [ ] CreativeCommons - Attribution (2020) Centre for Biodiversity Genomics Centre for Biodiversity Genomics  ( - BIOUG51787-C06)  @11 [ ] CreativeCommons - Attribution (2020) Centre for Biodiversity Genomics Centre for Biodiversity Genomics
 ( - CBG-A45213-G11)  @11 [ ] CreativeCommons - Attribution Share - Alike (2024) CBG Photography Group Centre for Biodiversity Genomics  ( - CBG-A45337-A05)  @11 [ ] CreativeCommons - Attribution Share - Alike (2024) Centre for Biodiversity Genomics Centre for Biodiversity Genomics  ( - CBG-A20685-C06)  @11 [ ] CreativeCommons - Attribution Share - Alike (2023) Centre for Biodiversity Genomics Centre for Biodiversity Genomics
  Sample ID:
CBG-A20685-C06
  License:
CreativeCommons - Attribution Share - Alike (2023)
  License Holder:
Centre for Biodiversity Genomics

Collection Sites




Collected from 1 countries.
Top 20:
Show All Countries Expand List
United States20