Hydaropsis longirostris {species} - Arthropoda; Insecta; Hemiptera; Coreidae; Hydarinae; Hydaropsis;

For the latest taxonomy data, visit boldsystems.org.

BOLD Stats

Specimen Records: 41 Public Records: 19
Specimens with Sequences: 41 Public Species: 1
Specimens with Barcodes: 39 Public BINs: 1
Species: 1          
Species With Barcodes: 1          
           

Contributors (Specimens & Sequencing)

Specimen Depositories: Sequencing Labs:
Depositories
Sequencing Labs

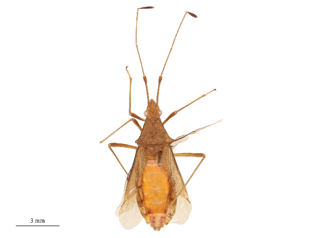
Imagery

images representing specimens of Hydaropsis longirostris
 ( - BIOUG21781-D03)  @15 [ ] CreativeCommons - Attribution (2015) CBG Photography Group Centre for Biodiversity Genomics  ( - CBG-A10830-D12)  @11 [ ] CreativeCommons - Attribution Share - Alike (2023) CBG Photography Group Centre for Biodiversity Genomics  ( - CBG-A13275-E11)  @11 [ ] CreativeCommons - Attribution Share - Alike (2023) CBG Photography Group Centre for Biodiversity Genomics
 ( - CBG-A15033-H07)  @11 [ ] CreativeCommons - Attribution Share-Alike (2023) CBG Photography Group Centre for Biodiversity Genomics  ( - CBG-B24016-C04)  @11 [ ] CreativeCommons - Attribution Share - Alike (2025) CBG Photography Group Centre for Biodiversity Genomics  ( - CBG-B24029-D11)  @11 [ ] CreativeCommons - Attribution Share - Alike (2025) CBG Photography Group Centre for Biodiversity Genomics
 ( - CBG-B24016-C11)  @11 [ ] CreativeCommons - Attribution Share - Alike (2025) CBG Photography Group Centre for Biodiversity Genomics  ( - BIOUG95292-G09)  @11 [ ] CreativeCommons - Attribution Share - Alike (2023) CBG Photography Group Centre for Biodiversity Genomics  ( - CBG-A21622-F05)  @11 [ ] CreativeCommons - Attribution Share-Alike (2023) CBG Photography Group Centre for Biodiversity Genomics
 ( - CBG-A10829-G06)  @11 [ ] CreativeCommons - Attribution Share - Alike (2023) CBG Photography Group Centre for Biodiversity Genomics  ( - CBG-A15033-F07)  @11 [ ] CreativeCommons - Attribution Share-Alike (2023) CBG Photography Group Centre for Biodiversity Genomics  ( - CBG-A21617-B10)  @11 [ ] CreativeCommons - Attribution Share-Alike (2023) CBG Photography Group Centre for Biodiversity Genomics
 ( - CBG-A15034-B12)  @11 [ ] CreativeCommons - Attribution Share-Alike (2023) CBG Photography Group Centre for Biodiversity Genomics  ( - BIOUG95300-G07)  @11 [ ] CreativeCommons - Attribution Share-Alike (2023) CBG Photography Group Centre for Biodiversity Genomics  ( - CBG-A30009-D12)  @11 [ ] CreativeCommons - Attribution Share - Alike (2024) CBG Photography Group Centre for Biodiversity Genomics
 ( - CBG-A18029-C03)  @11 [ ] CreativeCommons - Attribution Share - Alike (2023) Centre for Biodiversity Genomics Centre for Biodiversity Genomics  ( - CBG-A21622-E07)  @11 [ ] CreativeCommons - Attribution Share-Alike (2023) CBG Photography Group Centre for Biodiversity Genomics  ( - CBG-B24022-E02)  @11 [ ] CreativeCommons - Attribution Share - Alike (2025) CBG Photography Group Centre for Biodiversity Genomics
 ( - CBG-B04806-E10)  @11 [ ] CreativeCommons - Attribution Share - Alike (2025) CBG Photography Group Centre for Biodiversity Genomics  ( - CBG-A21617-E09)  @11 [ ] CreativeCommons - Attribution Share-Alike (2023) CBG Photography Group Centre for Biodiversity Genomics  ( - CBG-B02548-B05)  @11 [ ] CreativeCommons - Attribution Share - Alike (2025) CBG Photography Group Centre for Biodiversity Genomics
  Sample ID:
CBG-B02548-B05
  License:
CreativeCommons - Attribution Share - Alike (2025)
  License Holder:
CBG Photography Group, Centre for Biodiversity Genomics

Collection Sites




Collected from 2 countries.
Top 20:
Show All Countries Expand List
Bangladesh28Thailand7