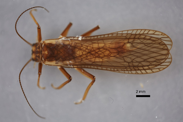
Soliperla campanula {species} - Arthropoda; Insecta; Plecoptera; Peltoperlidae; Peltoperlinae; Soliperla;

For the latest taxonomy data, visit boldsystems.org.

BOLD Stats

Specimen Records: 4 Public Records: 2
Specimens with Sequences: 2 Public Species: 1
Specimens with Barcodes: 1 Public BINs: 1
Species: 1          
Species With Barcodes: 1          
           

Contributors (Specimens & Sequencing)

Specimen Depositories: Sequencing Labs:
Depositories
Sequencing Labs

Imagery

images representing specimens of Soliperla campanula
 ( - Chen2.2)  @11 [ ] Unspecified (default): All Rights Reserved  Unspecified Unspecified  ( - Chen2.1)  @11 [ ] Unspecified (default): All Rights Reserved  Unspecified Unspecified
  Sample ID:
Chen2.1
  License:
Unspecified (default): All Rights Reserved 
  License Holder:
Unspecified

Collection Sites




Collected from 1 countries.
Top 20:
Show All Countries Expand List
United States2