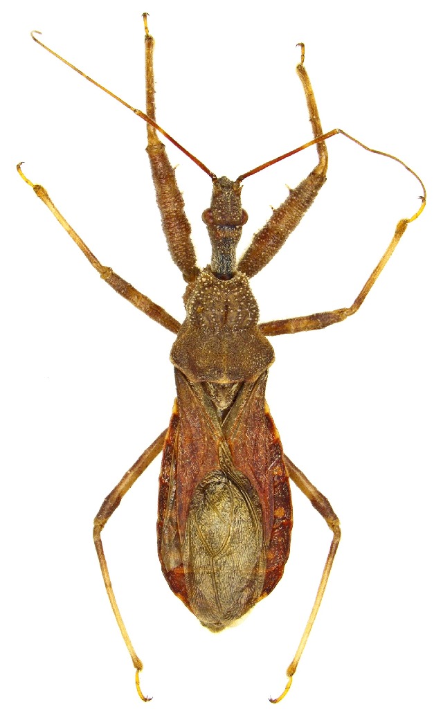
Acholla ampliata {species} - Arthropoda; Insecta; Hemiptera; Reduviidae; Harpactorinae; Harpactorini; Acholla;

For the latest taxonomy data, visit boldsystems.org.

BOLD Stats

Specimen Records: 1 Public Records: 0
Specimens with Sequences: 0 Public Species: 0
Specimens with Barcodes: 0 Public BINs: 0
Species: 1          
Species With Barcodes: 0          
           

Contributors (Specimens & Sequencing)

Specimen Depositories: Sequencing Labs:
Depositories

Imagery

images representing specimens of Acholla ampliata
 ( - UAIC1151730)  @11 [ ] Copyright  Salvador Vitanza Unspecified
  Sample ID:
UAIC1151730
  License:
Copyright 
  License Holder:
Salvador Vitanza, Unspecified

Collection Sites




Collected from 1 countries.
Top 20:
Show All Countries Expand List
United States1