Megaleuctra flinti {species} - Arthropoda; Insecta; Plecoptera; Leuctridae; Megaleuctra;

For the latest taxonomy data, visit boldsystems.org.

BOLD Stats

Specimen Records: 4 Public Records: 0
Specimens with Sequences: 4 Public Species: 0
Specimens with Barcodes: 4 Public BINs: 0
Species: 1          
Species With Barcodes: 1          
           

Contributors (Specimens & Sequencing)

Specimen Depositories: Sequencing Labs:
Depositories
Sequencing Labs

Imagery

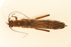
images representing specimens of Megaleuctra flinti
 ( - INHS-1545225)  @11 [ ] CC BY (2025) Unspecified University of Illinois, Urbana-Champaign  ( - INHS-1545166)  @11 [ ] CC BY (2025) Unspecified University of Illinois, Urbana-Champaign  ( - INHS-1545165)  @11 [ ] CC BY (2025) Unspecified University of Illinois, Urbana-Champaign
 ( - INHS-1545164)  @11 [ ] CC BY (2025) Unspecified University of Illinois, Urbana-Champaign
  Sample ID:
INHS-1545164
  License:
CC BY (2025)
  License Holder:
Unspecified, University of Illinois, Urbana-Champaign

Collection Sites




Collected from 0 countries.
Top 20:
Show All Countries Expand List