Leptocorisa acuta {species} - Arthropoda; Insecta; Hemiptera; Alydidae; Micrelytrinae; Leptocorisini; Leptocorisa;

For the latest taxonomy data, visit boldsystems.org.

BOLD Stats

Specimen Records: 118 Public Records: 27
Specimens with Sequences: 116 Public Species: 1
Specimens with Barcodes: 109 Public BINs: 4
Species: 1          
Species With Barcodes: 1          
           

Contributors (Specimens & Sequencing)

Specimen Depositories: Sequencing Labs:
Depositories
Sequencing Labs

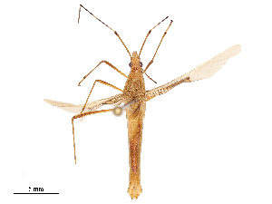
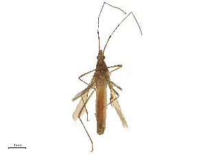
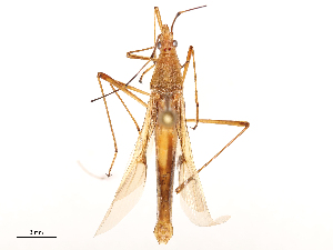
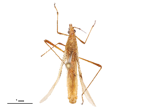
Imagery

images representing specimens of Leptocorisa acuta
 ( - gvc11935-1L)  @13 [ ] Copyright (2004) Graeme V. Cocks Unspecified  ( - gvcT08794)  @11 [ ] CreativeCommons - Attribution Non-Commercial (2017) Graeme V. Cocks Unspecified  ( - SNU014)  @11 [ ] CreativeCommons - Attribution Share-Alike (2015) Unspecified Seoul National Uiversity
 ( - CBG-B02548-A09)  @11 [ ] CreativeCommons - Attribution Share - Alike (2025) CBG Photography Group Centre for Biodiversity Genomics  ( - CBG-B02548-B04)  @11 [ ] CreativeCommons - Attribution Share - Alike (2025) CBG Photography Group Centre for Biodiversity Genomics  ( - CBG-B02548-B03)  @11 [ ] CreativeCommons - Attribution Share - Alike (2025) CBG Photography Group Centre for Biodiversity Genomics
 ( - CBG-B02548-A10)  @11 [ ] CreativeCommons - Attribution Share - Alike (2025) CBG Photography Group Centre for Biodiversity Genomics  ( - CBG-B03409-D06)  @11 [ ] CreativeCommons - Attribution Share - Alike (2025) CBG Photography Group Centre for Biodiversity Genomics  ( - CBG-B02550-A10)  @11 [ ] CreativeCommons - Attribution Share - Alike (2025) CBG Photography Group Centre for Biodiversity Genomics
 ( - CBG-B02556-H01)  @11 [ ] CreativeCommons - Attribution Share - Alike (2025) CBG Photography Group Centre for Biodiversity Genomics  ( - CBG-B02548-B02)  @11 [ ] CreativeCommons - Attribution Share - Alike (2025) CBG Photography Group Centre for Biodiversity Genomics  ( - CBG-B02548-A11)  @11 [ ] CreativeCommons - Attribution Share - Alike (2025) CBG Photography Group Centre for Biodiversity Genomics
 ( - CBG-B02548-B01)  @11 [ ] CreativeCommons - Attribution Share - Alike (2025) CBG Photography Group Centre for Biodiversity Genomics
  Sample ID:
CBG-B02548-B01
  License:
CreativeCommons - Attribution Share - Alike (2025)
  License Holder:
CBG Photography Group, Centre for Biodiversity Genomics

Collection Sites




Collected from 3 countries.
Top 20:
Show All Countries Expand List
Bangladesh10Australia8India1