Thricolema anomala {species} - Arthropoda; Insecta; Coleoptera; Chrysomelidae; Synetinae; Thricolema;

For the latest taxonomy data, visit boldsystems.org.

BOLD Stats

Specimen Records: 2 Public Records: 0
Specimens with Sequences: 2 Public Species: 0
Specimens with Barcodes: 2 Public BINs: 0
Species: 1          
Species With Barcodes: 1          
           

Contributors (Specimens & Sequencing)

Specimen Depositories: Sequencing Labs:
Depositories
Sequencing Labs

Imagery

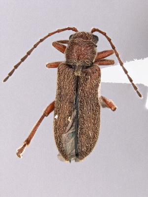
images representing specimens of Thricolema anomala
 ( - CCDB-40914-B06)  @11 [ ] by-nc-nd (2024) Hume Douglas Agriculture and Agri-Food Canada  ( - CCDB-40914-B07)  @11 [ ] by-nc-nd (2024) Hume Douglas Agriculture and Agri-Food Canada
  Sample ID:
CCDB-40914-B07
  License:
by-nc-nd (2024)
  License Holder:
Hume Douglas, Agriculture and Agri-Food Canada

Collection Sites




Collected from 1 countries.
Top 20:
Show All Countries Expand List
United States2