Schwenckfeldina compacta {species} - Arthropoda; Insecta; Diptera; Sciaridae; Schwenckfeldina;

For the latest taxonomy data, visit boldsystems.org.

BOLD Stats

Specimen Records: 9 Public Records: 0
Specimens with Sequences: 9 Public Species: 0
Specimens with Barcodes: 9 Public BINs: 0
Species: 1          
Species With Barcodes: 1          
           

Contributors (Specimens & Sequencing)

Specimen Depositories: Sequencing Labs:
Depositories
Sequencing Labs

Imagery

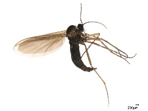
images representing specimens of Schwenckfeldina compacta
 ( - ZAFUMP-001)  @11 [ ] CreativeCommons - Attribution Share-Alike (2025) Unspecified Zhejiang A&F University  ( - ZAFUMP-001)  @11 [ ] CreativeCommons - Attribution Share-Alike (2025) Unspecified Zhejiang A&F University  ( - ZAFUMP-002)  @11 [ ] CreativeCommons - Attribution Share-Alike (2025) Unspecified Zhejiang A&F University
 ( - ZAFUMP-003)  @11 [ ] CreativeCommons - Attribution Share-Alike (2025) Unspecified Zhejiang A&F University  ( - ZAFUMP-004)  @11 [ ] CreativeCommons - Attribution Share-Alike (2025) Unspecified Zhejiang A&F University  ( - ZAFUMP-005)  @11 [ ] CreativeCommons - Attribution Share-Alike (2025) Unspecified Zhejiang A&F University
 ( - ZAFUMP-006)  @11 [ ] CreativeCommons - Attribution Share-Alike (2025) Unspecified Zhejiang A&F University  ( - ZAFUMP-007)  @11 [ ] CreativeCommons - Attribution Share-Alike (2025) Unspecified Zhejiang A&F University  ( - ZAFUMP-008)  @11 [ ] CreativeCommons - Attribution Share-Alike (2025) Unspecified Zhejiang A&F University
 ( - ZAFUMP-009)  @11 [ ] CreativeCommons - Attribution Share-Alike (2025) Unspecified Zhejiang A&F University
  Sample ID:
ZAFUMP-009
  License:
CreativeCommons - Attribution Share-Alike (2025)
  License Holder:
Unspecified, Zhejiang A&F University

Collection Sites




Collected from 0 countries.
Top 20:
Show All Countries Expand List