Stenosphenus sobrius {species} - Arthropoda; Insecta; Coleoptera; Cerambycidae; Cerambycinae; Elaphidiini; Stenosphenus;

For the latest taxonomy data, visit boldsystems.org.

BOLD Stats

Specimen Records: 3 Public Records: 1
Specimens with Sequences: 3 Public Species: 1
Specimens with Barcodes: 3 Public BINs: 1
Species: 1          
Species With Barcodes: 1          
           

Contributors (Specimens & Sequencing)

Specimen Depositories: Sequencing Labs:
Depositories
Sequencing Labs

Imagery

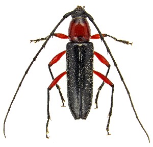
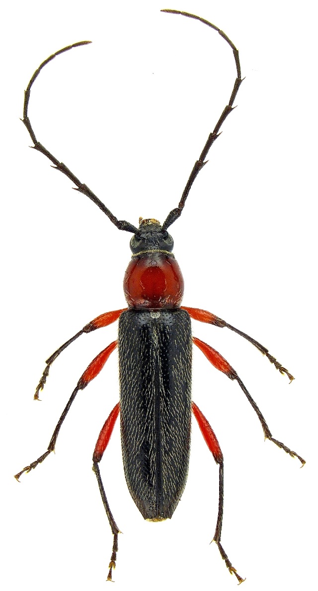
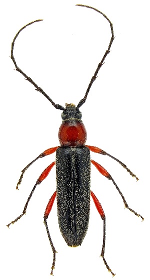
images representing specimens of Stenosphenus sobrius
 ( - UAIC1125756)  @11 [ ] by (2021) Wendy Moore University of Arizona Insect Collection  ( - UAIC1151237)  @11 [ ] Copyright  Salvador Vitanza Unspecified  ( - UAIC1139802)  @11 [ ] Copyright  Salvador Vitanza Unspecified
  Sample ID:
UAIC1139802
  License:
Copyright 
  License Holder:
Salvador Vitanza, Unspecified

Collection Sites




Collected from 1 countries.
Top 20:
Show All Countries Expand List
United States3