Taedia marmorata {species} - Arthropoda; Insecta; Hemiptera; Miridae; Mirinae; Mirini; Taedia;

For the latest taxonomy data, visit boldsystems.org.

BOLD Stats

Specimen Records: 4 Public Records: 1
Specimens with Sequences: 2 Public Species: 1
Specimens with Barcodes: 2 Public BINs: 0
Species: 1          
Species With Barcodes: 1          
           

Contributors (Specimens & Sequencing)

Specimen Depositories: Sequencing Labs:
Depositories
Sequencing Labs

Imagery

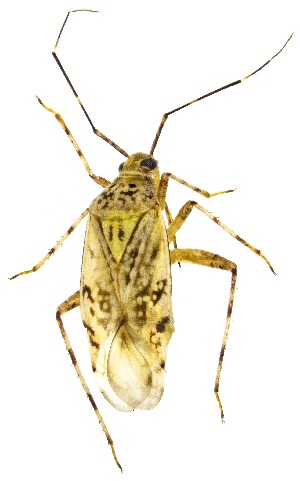
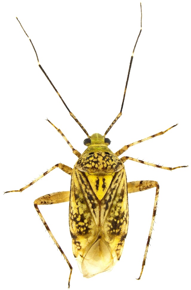
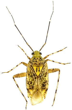
images representing specimens of Taedia marmorata
 ( - UAIC1135568)  @11 [ ] by (2021) Wendy Moore University of Arizona Insect Collection  ( - UAIC1159252)  @11 [ ] Copyright  Salvador Vitanza Unspecified  ( - UAIC1151046)  @11 [ ] Copyright  Salvador Vitanza Unspecified
 ( - UAIC1139465)  @11 [ ] Copyright  Salvador Vitanza Unspecified
  Sample ID:
UAIC1139465
  License:
Copyright 
  License Holder:
Salvador Vitanza, Unspecified

Collection Sites




Collected from 1 countries.
Top 20:
Show All Countries Expand List
United States4