Neurocolpus montanus {species} - Arthropoda; Insecta; Hemiptera; Miridae; Mirinae; Mirini; Neurocolpus;

For the latest taxonomy data, visit boldsystems.org.

BOLD Stats

Specimen Records: 3 Public Records: 2
Specimens with Sequences: 3 Public Species: 1
Specimens with Barcodes: 3 Public BINs: 1
Species: 1          
Species With Barcodes: 1          
           

Contributors (Specimens & Sequencing)

Specimen Depositories: Sequencing Labs:
Depositories
Sequencing Labs

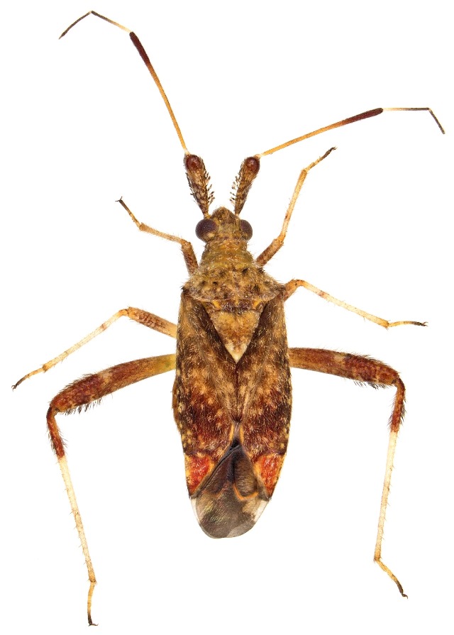
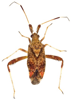
Imagery

images representing specimens of Neurocolpus montanus
 ( - UAIC1135564)  @11 [ ] by (2021) Wendy Moore University of Arizona Insect Collection  ( - UAIC1138097)  @11 [ ] by (2022) Wendy Moore University of Arizona Insect Collection  ( - UAIC1151555)  @11 [ ] Copyright  Salvador Vitanza Unspecified
  Sample ID:
UAIC1151555
  License:
Copyright 
  License Holder:
Salvador Vitanza, Unspecified

Collection Sites




Collected from 1 countries.
Top 20:
Show All Countries Expand List
United States3