Phytocoris simulatus {species} - Arthropoda; Insecta; Hemiptera; Miridae; Mirinae; Mirini; Phytocoris;

For the latest taxonomy data, visit boldsystems.org.

BOLD Stats

Specimen Records: 2 Public Records: 1
Specimens with Sequences: 1 Public Species: 1
Specimens with Barcodes: 1 Public BINs: 0
Species: 1          
Species With Barcodes: 1          
           

Contributors (Specimens & Sequencing)

Specimen Depositories: Sequencing Labs:
Depositories
Sequencing Labs

Imagery

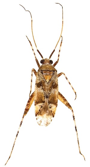
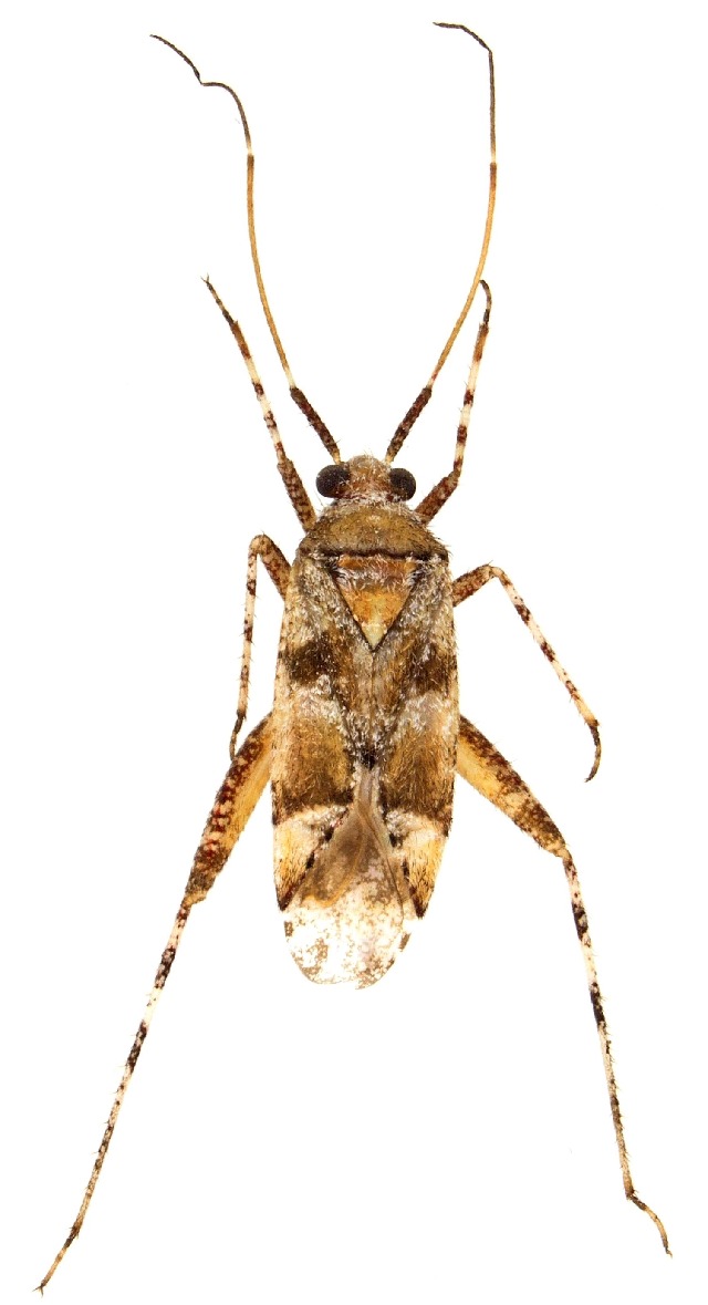
images representing specimens of Phytocoris simulatus
 ( - UAIC1135545)  @11 [ ] by (2021) Wendy Moore University of Arizona Insect Collection  ( - UAIC1151708)  @11 [ ] Copyright  Salvador Vitanza Unspecified
  Sample ID:
UAIC1151708
  License:
Copyright 
  License Holder:
Salvador Vitanza, Unspecified

Collection Sites




Collected from 1 countries.
Top 20:
Show All Countries Expand List
United States2