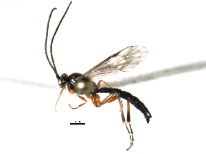
Glypta fumiferanae {species} - Arthropoda; Insecta; Hymenoptera; Ichneumonidae; Banchinae; Glypta;

For the latest taxonomy data, visit boldsystems.org.

BOLD Stats

Specimen Records: 454 Public Records: 218
Specimens with Sequences: 449 Public Species: 1
Specimens with Barcodes: 445 Public BINs: 7
Species: 1          
Species With Barcodes: 1          
           

Contributors (Specimens & Sequencing)

Specimen Depositories: Sequencing Labs:
Depositories
Sequencing Labs

Imagery

images representing specimens of Glypta fumiferanae
 ( - CNCHYM 09188)  @15 [ ] CreativeCommons - Attribution (2012) CNC/CBG Photography Group Centre for Biodiversity Genomics  ( - BIOUG20673-C03)  @15 [ ] CreativeCommons - Attribution (2015) CBG Photography Group Centre for Biodiversity Genomics  ( - EE-P642-89 MP)  @13 [ ] Unspecified (default): All Rights Reserved  Unspecified Unspecified
 ( - 07PROBE-21353)  @14 [ ] CreativeCommons - Attribution (2009) CBG Photography Group Centre for Biodiversity Genomics  ( - BIOUG01247-F07)  @14 [ ] CreativeCommons - Attribution (2011) CBG Photography Group Centre for Biodiversity Genomics  ( - BIOUG01030-C04)  @14 [ ] CreativeCommons - Attribution (2011) CBG Photography Group Centre for Biodiversity Genomics
 ( - VM-2014-CN-1146)  @14 [ ] CreativeCommons - Attribution Non-Commercial Share-Alike (2015) Unspecified Natural Resource Canada  ( - BIOUG01113-E07)  @14 [ ] CreativeCommons - Attribution (2011) CBG Photography Group Centre for Biodiversity Genomics  ( - BIOUG01022-C08)  @14 [ ] CreativeCommons - Attribution (2011) CBG Photography Group Centre for Biodiversity Genomics
 ( - JSYKB-104)  @14 [ ] CreativeCommons - Attribution (2010) CBG Photography Group Centre for Biodiversity Genomics  ( - VM-2014-CN-1148)  @14 [ ] CreativeCommons - Attribution Non-Commercial Share-Alike (2015) Unspecified Natural Resource Canada  ( - VM-2014-CN-1162)  @13 [ ] CreativeCommons - Attribution Non-Commercial Share-Alike (2015) Unspecified Natural Resource Canada
 ( - 07PROBE-21348)  @13 [ ] CreativeCommons - Attribution (2009) CBG Photography Group Centre for Biodiversity Genomics  ( - 09PROBE-A0071)  @13 [ ] CreativeCommons - Attribution (2010) CBG Photography Group Centre for Biodiversity Genomics  ( - 09PROBE-A0073)  @13 [ ] CreativeCommons - Attribution (2010) CBG Photography Group Centre for Biodiversity Genomics
 ( - 09PROBE-A0091)  @13 [ ] CreativeCommons - Attribution (2010) CBG Photography Group Centre for Biodiversity Genomics
  Sample ID:
09PROBE-A0091
  License:
CreativeCommons - Attribution (2010)
  License Holder:
CBG Photography Group, Centre for Biodiversity Genomics

Collection Sites




Collected from 3 countries.
Top 20:
Show All Countries Expand List
Canada445Germany1United States1