Protenor belfragei {species} - Arthropoda; Insecta; Hemiptera; Alydidae; Micrelytrinae; Micrelytrini; Protenor;

For the latest taxonomy data, visit boldsystems.org.

BOLD Stats

Specimen Records: 10 Public Records: 9
Specimens with Sequences: 8 Public Species: 1
Specimens with Barcodes: 5 Public BINs: 1
Species: 1          
Species With Barcodes: 1          
           

Contributors (Specimens & Sequencing)

Specimen Depositories: Sequencing Labs:
Depositories
Sequencing Labs

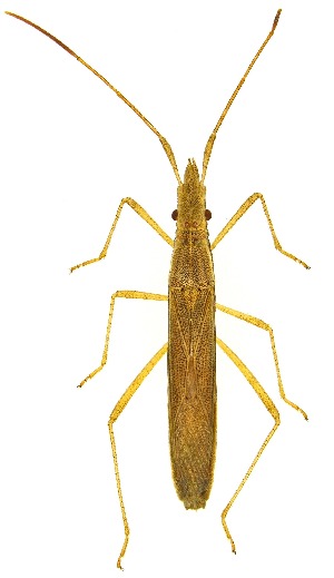
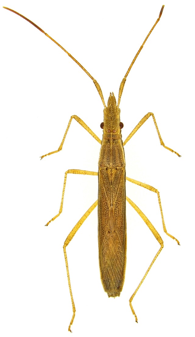
Imagery

images representing specimens of Protenor belfragei
 ( - 09BBEHE-066)  @14 [ ] CreativeCommons - Attribution (2009) CBG Photography Group Centre for Biodiversity Genomics  ( - CNC#HEM400334)  @14 [ ] CreativeCommons - Attribution (2011) CNC/CBG Photography Group Centre for Biodiversity Genomics  ( - 09BBEHE-082)  @13 [ ] CreativeCommons - Attribution (2009) CBG Photography Group Centre for Biodiversity Genomics
 ( - CNC#HEM400332)  @13 [ ] CreativeCommons - Attribution (2011) CNC/CBG Photography Group Centre for Biodiversity Genomics  ( - 09BBEHE-317)  @13 [ ] CreativeCommons - Attribution (2010) CBG Photography Group Centre for Biodiversity Genomics  ( - CNC#HEM400333)  @13 [ ] CreativeCommons - Attribution (2011) CNC/CBG Photography Group Centre for Biodiversity Genomics
 ( - CNC#HEM400331)  @11 [ ] CreativeCommons - Attribution (2011) CNC/CBG Photography Group Centre for Biodiversity Genomics  ( - 09BBEHE-316)  @11 [ ] CreativeCommons - Attribution (2010) CBG Photography Group Centre for Biodiversity Genomics  ( - CNC#HEM400335)  @11 [ ] CreativeCommons - Attribution (2011) CNC/CBG Photography Group Centre for Biodiversity Genomics
 ( - UAIC1151233)  @11 [ ] Copyright  Salvador Vitanza Unspecified
  Sample ID:
UAIC1151233
  License:
Copyright 
  License Holder:
Salvador Vitanza, Unspecified

Collection Sites




Collected from 2 countries.
Top 20:
Show All Countries Expand List
Canada9United States1