You've been logged out. Click
here
to log back in.
Log In
Log In
BOLD Systems
Databases
Taxonomy
Identification
Workbench
Resources
Latest Version
Chirocentrodon bleekerianus {species} -
Chordata
;
Actinopterygii
;
Clupeiformes
;
Pristigasteridae
;
Pelloninae
;
Chirocentrodon
;
Print
For the latest taxonomy data, visit
boldsystems.org
.
Search Taxonomy
Sub-taxa
Taxon Description (Wikipedia)
full article at Wikipedia
BOLD Stats
Specimen Records:
10
Public Records:
1
Specimens with Sequences:
9
Public Species:
1
Specimens with Barcodes:
2
Public BINs:
0
Species:
1
Species With Barcodes:
1
Subspecies List - Progress
Access Published & Released Data
Contributors (Specimens & Sequencing)
Specimen Depositories:
Sequencing Labs:
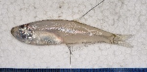
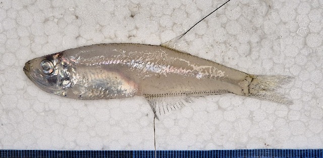
Imagery
images representing specimens of Chirocentrodon bleekerianus
Sample ID:
SC-082
License:
copyright © (2024)
License Holder:
Thierry Fredou, UFRPE-DEPAq
Collection Sites
Collected from 1 countries.
Top 20:
Show All Countries
Brazil
3